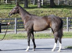
共有馬情報
SHARING HORSE INFORMATION
|
年齢
|
父
|
母
|
性
|
毛色
|
生年月日
|
厩舎
|
生産者
|
|
3歳
|
ダノンバラード
|
パーフェクトノート
|
メス
|
黒鹿毛
|
2023/5/2
|
美浦・鈴木慎太郎
|
ビッグレッドファーム
|
近況
更新日:2026年2月10日
コスモエレジーは、7日東京1R 3歳未勝利戦(牝馬限定戦)・ダート1400mに出走し、16着でした。
柴田大知騎手は「道中も体をひねって走っていますので、コーナーではそれがかなり強く出てしまっていました。直線でも、この馬なりは反応はしているのですが・・・。現状では厳しい感じはしますね」と述べていました。
鈴木慎太郎調教師は「乗り役もあれ以上、やりようがないですよね。コーナーの走りからも口向きだけの問題だけではないですね」と述べていました。
なお、このレースで「タイムオーバーによる出走制限」適用のため、2026年3月7日まで平地競走に出走できません。
ここまでの一連の状況と今回の結果を受けて、鈴木慎太郎調教師と協議した結果、このタイミングで引退させることになりました。皆さまにおかれましては、誠に残念なことと存じますが、何卒ご了承賜りますようお願い申しあげます。長い間、ご声援ありがとうございました。
なお、本馬は今後、脚元など各部のチェックを行い、問題がなければ2月12日(木)に行われる「サラブレッドオークション」へ出品を予定しています。
ご興味をお持ちいただけました際は以下のホームページにアクセスください。
https://auction.keiba.rakuten.co.jp/top/
(お問い合わせ先 サラブレッドオークション事務局:03-3527-2450)
今後のご精算等につきましては、あらためて書面にてお知らせいたします。
更新日:2026年2月6日
コスモエレジーは、美浦トレーニングセンターで調整中です。
7日東京1R 3歳未勝利戦(牝馬限定戦)・ダート1400mに出走します。
鈴木慎太郎調教師は「目標としていた交流競走が残念ながら除外となってしまったため、今週の出走に目標を切り替えて乗り進めています。追いきりでの動きに前回入厩時と大きな変化は無く厳しい競馬が予想されますが、左回りの方が走りやすいとは思いますのでそこでの前進を期待しています」と述べていました。
更新日:2026年2月5日
コスモエレジー は、2月7日東京 第1R (10:05発走)3歳未勝利・ダート1400m に出走予定です。
更新日:2026年2月5日
【調教タイム】 1月30日 Wコース 85.6-70.8-56.0-41.5-14.0
2月4日 坂路コース 55.0-41.2-27.6-14.2
更新日:2026年1月28日
コスモエレジーは1月28日に鉾田トレーニングセンターから美浦・鈴木慎太郎厩舎へ移動しました。
更新日:2026年1月15日
コスモエレジーは鉾田トレーニングセンターで調整しています。
場長は「鉾田到着後、馬体や体調に気になるところはなく、坂路コースで乗り込んでいます。1日2本のメニューで動きは上々です。一方、旋回癖はトレセンや北海道での状況と変わりなく顕著です。旋回癖の影響で馬体は中々増えてきませんが、飼い食いは良好ですし量を増やしたところです。このまま進めていきます」とコメントしています。
1月中旬の計測で404kg
更新日:2025年12月19日
コスモエレジーは、14日中山5R 2歳新馬・芝1600mに出走し、15着でした。
丹内騎手は「返し馬の段階では、それほど気にはなりませんでしたが競馬に行ってからは体が曲がったまま走っていました。これでは前と後ろのバランスが上手く保つことができません。またどこかに飛んでいってしまいそうなところもありました」と述べていました。
鈴木調教師は「何とかデビュー戦を終えることができました。いずれにしても鉾田へ放牧に出します」と述べていました。
更新日:2025年12月16日
コスモエレジーは12月16日に美浦トレーニングセンターから鉾田トレーニングセンターへ移動しました。
更新日:2025年12月15日
コスモエレジー は、12月14日中山 第5R 2歳新馬・芝1600m で15着でした。
更新日:2025年12月12日
コスモエレジーは、美浦トレーニングセンターで調整中です。
鈴木慎太郎調教師は「ここまで大きな頓挫もなく順調に乗り進めることが出来ました。動きの面ではそれほど変化を感じませんが精神的には少しずつ落ち着きがでてきて出来ることも増えてきました。旋回癖が馬体の成長や歪みの面で悪影響をあたえていると感じます。競馬に行ってどのくらい頑張ってくれるか」と述べていました。
更新日:2025年12月11日
コスモエレジー は、12月14日中山 第5R (12:05発走)2歳新馬・芝1600m に出走予定です。
更新日:2025年12月11日
【調教タイム】 12月7日 坂路コース 58.5-43.4-28.6-14.1
12月10日 Wコース 71.5-55.8-40.5-12.8
更新日:2025年12月5日
コスモエレジーは、美浦トレーニングセンターで調整中です。
鈴木慎太郎調教師は「大きく変化なく乗り進めることが出来ています。旋回癖も変わらず回っており、そのためか飼い葉はしっかりと食べることが出来ていますが、馬体重は徐々に減少傾向です。身体が左に歪み気味なのでできるだけ真っすぐ走れるよう意識して調教していきます。来週の中山芝1600mでデビュー予定です」と述べていました。
更新日:2025年12月4日
【調教タイム】11月29日 坂路コース 64.4-47.0-30.6-14.9
12月3日 Wコース 70.3-55.7-40.6-13.0
更新日:2025年11月28日
コスモエレジーは、美浦トレーニングセンターで調整中です。
鈴木慎太郎調教師は「状態に大きな変化なく、その中でも徐々に負荷のレベルをあげながら乗り進めることが出来ています。馬房ではひたすら旋回しているため馬体面での成長は見込み辛いですが、精神的には進歩が見られており、このまま息を作って走れる態勢を整えていきます」と述べ亭Mした。
更新日:2025年11月27日
【調教タイム】11月24日 坂路コース 57.6-42.7-28.2-14.0
11月27日 Wコース 70.6-55.3-40.6-13.3
更新日:2025年11月21日
コスモエレジーは、美浦トレーニングセンターで調整中です。
鈴木慎太郎調教師は「この馬なりに少しずつ成長を見せながら進めることが出来ています。特に入厩当初は頭絡の着け外しや人が近寄ってくることに対して過敏に反応していましたが、だいぶ慣れて落ち着きを見せてきました。このまま進めていければと思います」と述べていました。
更新日:2025年11月20日
【調教タイム】11月20日 坂路コース 56.9-42.6-28.1-13.8
更新日:2025年11月14日
コスモエレジーは、美浦トレーニングセンターで調整中です。
13日にゲート試験に合格しました。
鈴木慎太郎調教師は「ゲート練習を中心にこの中間も調教を進めることができています。ゲートに関しては当初は硬直するようなところもありましたが、徐々に慣れてきており進歩を感じます。旋回癖は相変わらずで、食欲は旺盛ですが馬体重が減ってきているので注意して見ていきます。右後肢の踏み込みの弱さを感じますので、そのあたりも影響しているのかもしれません。いずれにしてもゲート試験に合格しましたので、デビューを目指して進めていきます」と述べていました。
更新日:2025年11月7日
コスモエレジーは、美浦トレーニングセンターで調整中です。
鈴木慎太郎調教師は「入厩後ゲート試験合格を目指して調教が始められています。馬房での旋回癖は牧場と変わらず見せており、また繊細で敏感な所も多く見せています。特に口を触られることに拒否感が強いため少しずつ馴らしていく必要がありそうです」と述べていました。
更新日:2025年10月31日
コスモエレジーは、10月31日に真歌トレーニングパークから美浦・鈴木慎太郎厩舎へ向けて出発しました。
更新日:2025年10月16日
コスモエレジーは真歌トレーニングパークで調整しています。
場長は「引き続き坂路コースで乗り込んでいます。トレセンの環境に少しでもならすため、調教後は馬房管理に切り替えています。近日と思われる入厩に向けて引き続き進めていきます」とコメントしています。
10月中旬の計測で437kg
更新日:2025年9月18日
コスモエレジーは真歌トレーニングパークで騎乗調教を進めています。
場長は「引き続き坂路コースで乗り込んでいます。馬房での管理を控えていることから、馬体もふっくらしており、体調も良好に映ります。追い切りも重ねており態勢は整いつつあります。馬房管理になった時の懸念は常にありますが、良い状態のまま送り出す方向で調整しています。近日中に送り出す予定です」とコメントしています。
9月中旬の計測で450kg
更新日:2025年8月14日
コスモエレジーは真歌トレーニングパークで騎乗調教を進めています。
場長は「引き続き坂路コースで乗り込んでいます。乗り込み自体は順調ですが、馬房にいる時間が長いと旋回してしまうため、調教後は放牧地に放しています。この管理に切り替えてから馬体重も少し増えましたが、馬房管理になった時にどうでしょうか。引き続き進めていきます」とコメントしています。
8月中旬の計測で443kg
更新日:2025年7月17日
コスモエレジーは真歌トレーニングパークで調整を進めています。
場長は「引き続き坂路コースで乗り込んできましたが、7月に入り左前肢の歩様に気になるところが見られました。旋回癖の影響とみていますが、7月8日より騎乗を控えてリフレッシュさせながら様子を見ています。定期的に試し乗りをして気にならないレベルまで回復したのち、改めて本格的な騎乗調教を再開します」とコメントしています。
7月中旬の計測で435kg
更新日:2025年6月19日
コスモエレジーは真歌トレーニングパークで騎乗調教を進めています。
場長は「引き続き坂路コースで乗り込んでいます。前向きで素軽い動きを見せている反面、旋回癖の影響もあるのか中々馬体の成長が見られません。馬体重こそ以前の水準に戻りましたが、これは調教後の青草放牧の効果と思います。改めて負荷を強めて乗り込んでいかなければなりませんが、馬体減りは本馬の課題です。この点を考慮しながら進めていきます」とコメントしています。
6月中旬の計測で421kg
更新日:2025年5月15日
コスモエレジーは真歌トレーニングセンターで調整しています。
場長は「引き続き坂路コースで乗り込んできましたが、この中間は右後肢の蹄を痛めて騎乗を控えた期間がありました。馬体重が減っていますが、痛い状況でも馬房内では旋回していたためと思われます。既に排膿しており痛みは解消。騎乗調教を再開していますが、馬体の回復を促す目的で調教後は夕方まで放牧地で過ごさせています」とコメントしています。
5月中旬の計測で396kg
更新日:2025年4月17日
コスモエレジーは真歌トレーニングパーク騎乗調教を進めています。
場長は「引き続き坂路コースで乗り込んでいます。トレッドミルも覚えて併用してきたことで十分な運動量を確保できました。負荷をかけた時は素軽く良い動きを見せてくれますが、4月に入ってからの発馬練習やトレッドミルの練習など、新たなことを始めるとストレスで馬房での旋回癖が目立ちます。上手く気分転換をさせながら進めていきたいと思います」とコメントしています。
4月中旬の計測で415kg
更新日:2025年3月20日
コスモエレジーは真歌トレーニングパーク騎乗調教を進めています。
場長は「引き続き坂路コースで乗り込んでいます。坂路入りの前後にはウォーキングマシーンでも運動しています。飼い葉の量を増やしましたが完食できており、今後の運動量増加の選択肢を増やせるようにトレッドミルの練習を始めました。新たなことを始めたことで改めて旋回癖が目立ってきましたが、これ以上は馬体が細くならないように管理していきます。」とコメントしています。
3月中旬の計測で404kg
更新日:2025年2月20日
コスモエレジーは真歌トレーニングパークで騎乗調教を進めています。
場長は「引き続き坂路コースで騎乗調教を進めています。小柄ながらも飼い葉を工夫して馬体重が400kgを切らず乗り込むことができています。素軽い走りを見せており順調な乗り込みです。旋回癖をしているところは見かけなくなりましたが、寝藁などの跡をみると時折しているようです。」とコメントしています。
2月中旬の計測で409kg
更新日:2025年1月16日
コスモエレジーは真歌トレーニングパークで騎乗調教を進めています。
場長は「引き続き坂路コースで騎乗調教を進めています。スタート地点などで硬直を見せることは少なくなりました。坂路コースでも安定した走りを見せています。馬房での旋回癖は落ち着いてきましたが、気持ちがたかぶると回り始めます。小柄なことも有り飼い葉にオイルも混ぜるなど工夫しており、微増ですが馬体重も増えてきました。このまま進めていきます。」とコメントしています。
1月中旬の計測で420kg
更新日:2024年12月19日
コスモエレジーは真歌トレーニングパークで騎乗調教を進めています。
場長は「既に坂路コースでの騎乗調教へと進んでいます。他の馬たちと一緒のメニューをこなしていますが、まだ安心して乗れるというわけではありません。主にスタート地点で硬直してしまうことですが、一歩目が出てくれれば後はスムーズに走ってくれます。繰り返し乗り込んでいくことで少しずつ改善していくと思いますので、引き続き進めていきます。」とコメントしています。
12月中旬の計測で410kg
更新日:2024年11月21日
パーフェクトノートの23は真歌トレーニングパークでブレーキングを進めています。
場長は「11月1日からブレーキングをはじめていますが、気性的に手のかかるタイプでもあり時間をかけて進めています。ハミや頭絡は装着できるものの、外す際に抵抗します。まだサイドレーンを装着するまでには至らず、引き続き馬の様子を見ながら進めていきます。現在は広い放牧地へ放していることもあり、馬房内での旋回は比較的穏やかな回り方です。」とコメントしています。
11月中旬の計測で410kg
なお、本馬は今月JRAの早期登録を行う予定です。競走馬名はコスモエレジーとなりました。
( )は地方所属時の戦績です。
|
戦績
|
1着
|
2着
|
3着
|
4着
|
5着
|
着外
|
|
2戦 0勝
|
0
|
0
|
0
|
0
|
0
|
2
|
フォト
ムービー